19 Bertram Street Hackney SA
Premium Infill Development Opportunity | Eight-Townhouse Potential in Hackney
Positioned within one of Adelaide's most tightly held inner-city suburbs, this exceptional landholding in Hackney presents a rare opportunity to secure a substantial parcel in a premium lifestyle location, just moments from the CBD and the River Torrens Linear Park.
Renowned for its character charm, leafy streets and proximity to the city, Hackney continues to attract strong owner-occupier and investor demand. With vibrant cafés, boutique shopping and dining along nearby North Terrace, Rundle Street and The Parade, the area delivers an enviable blend of convenience and cosmopolitan living.
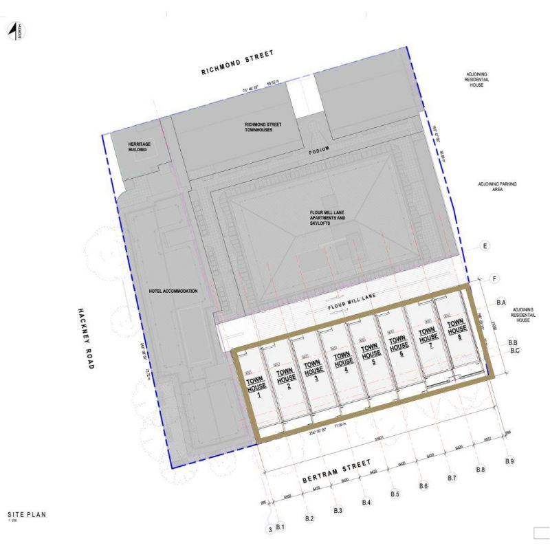
Comprising a generous allotment with excellent dimensions, the site offers outstanding development potential (subject to necessary consents), with scope to accommodate up to eight contemporary townhouses. The parcel's scale and configuration provide flexibility for a boutique residential project in a blue-chip inner-eastern setting.
Cleared and ready for its next chapter, the property allows developers and investors to capitalise immediately on its prime positioning without the constraints of significant demolition.
Superbly located within walking distance to the Adelaide Botanic Gardens, River Torrens walking and cycling trails, public transport and premium schooling options including St Peter's College and Wilderness School, the site is also only minutes from the Adelaide CBD and approximately 20 minutes to Adelaide Airport.
An outstanding opportunity to secure a high-potential development site in one of Adelaide's most desirable inner-city suburbs - ideal for developers seeking a premium project in a proven growth location.
Renowned for its character charm, leafy streets and proximity to the city, Hackney continues to attract strong owner-occupier and investor demand. With vibrant cafés, boutique shopping and dining along nearby North Terrace, Rundle Street and The Parade, the area delivers an enviable blend of convenience and cosmopolitan living.
Comprising a generous allotment with excellent dimensions, the site offers outstanding development potential (subject to necessary consents), with scope to accommodate up to eight contemporary townhouses. The parcel's scale and configuration provide flexibility for a boutique residential project in a blue-chip inner-eastern setting.
Cleared and ready for its next chapter, the property allows developers and investors to capitalise immediately on its prime positioning without the constraints of significant demolition.
Superbly located within walking distance to the Adelaide Botanic Gardens, River Torrens walking and cycling trails, public transport and premium schooling options including St Peter's College and Wilderness School, the site is also only minutes from the Adelaide CBD and approximately 20 minutes to Adelaide Airport.
An outstanding opportunity to secure a high-potential development site in one of Adelaide's most desirable inner-city suburbs - ideal for developers seeking a premium project in a proven growth location.